
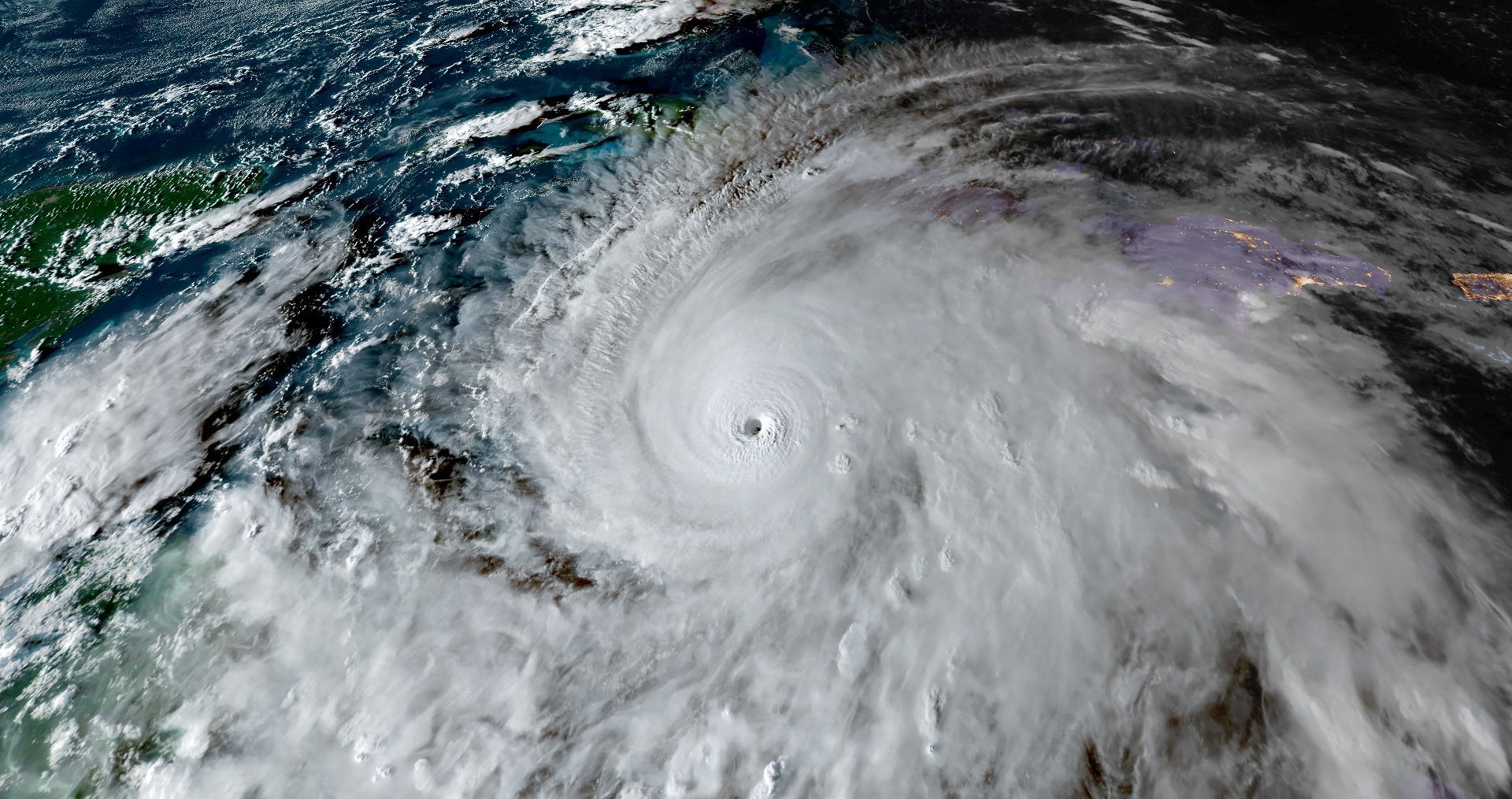
Την καταστροφή σκόρπισε στην Τζαμάικα και την Αϊτή ο τυφώνας «Μελίσα», η χειρότερη καταιγίδα που έχει καταγραφεί ποτέ σε αυτά τα νησιωτικά κράτη της Καραϊβικής. Προχωρώντας, χθες το βράδυ, ο τυφώνας σάρωσε την Ανατολική Κούβα, καταστρέφοντας την πόλη του Σαντιάγο και πλημμυρίζοντας αγροτικές εκτάσεις, παρότι είχε υποβαθμιστεί από κατηγορία 5 σε κατηγορία 3 με ανέμους 150 χλμ. την ώρα.
Η, ιστορικών διαστάσεων, καταιγίδα έπληξε αρχικά…




















