
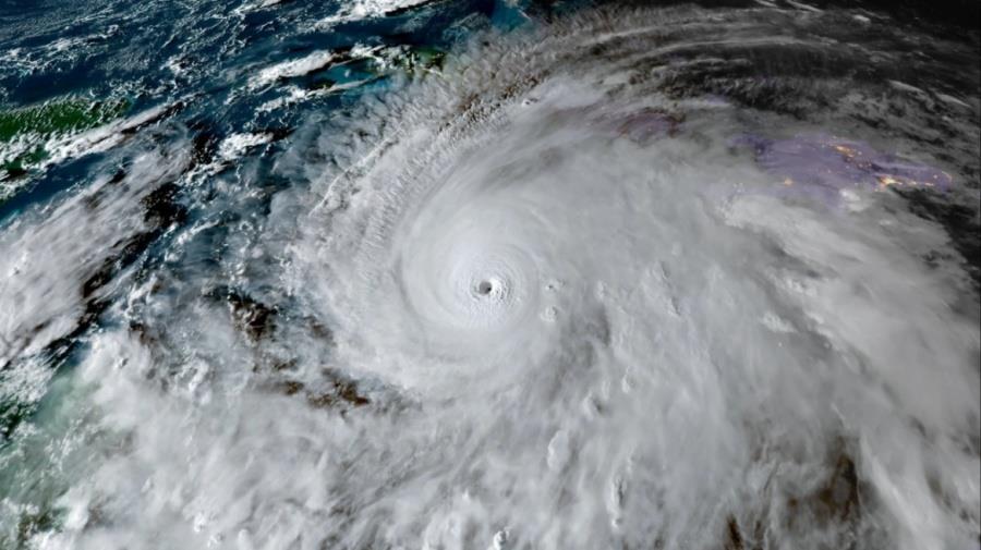
Τουλάχιστον τρεις άνθρωποι έχουν χάσει τη ζωή τους στην Τζαμάικα κατά την προετοιμασία για την έλευση του τυφώνα Μελίσσα, ο οποίος αναμένεται να πλήξει το νησί το μεσημέρι της Τρίτης (ώρα Κύπρου), με θυελλώδεις ανέμους, πλημμύρες και τεράστια κύματα. Οι αρχές έχουν προχωρήσει σε μαζικές εκκενώσεις και έχουν ανοίξει εκατοντάδες καταφύγια.
Ο τυφώνας Μελίσσα έχει ενταθεί σε τυφώνα κατηγορίας 5, με ανέμους που ξεπερνούν τα 280…





















