
09:16 – 29 Οκτωβριου 2025
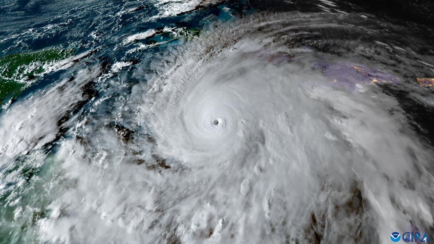
Επεισοδιακή ήταν η πτήση κυνηγών τυφώνων της Εθνικής Υπηρεσίας Ωκεανών και Ατμόσφαιρας (ΝΟΑΑ) των ΗΠΑ κοντά στον Μελίσσα, ο οποίος αφού προκάλεσε καταστροφές στη Τζαμάικα, πλέον κατευθύνεται προς την Κούβα.
Όπως φαίνεται σε βίντεο που δημοσιεύθηκε στο Χ, το αεροπλάνο που μετέφερα τα στελέχη της αμερικανικής υπηρεσίας ταρακουνήθηκαν βίαια για αρκετά δευτερόλεπτα από τις αναταράξεις που προκάλεσαν οι ισχυροί…



















.jpg)


