
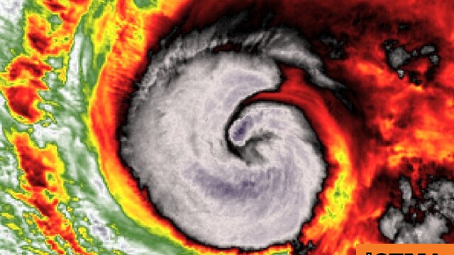
Η τροπική καταιγίδα Μελίσα, η οποία στοίχισε ήδη τη ζωή σε τουλάχιστον τέσσερις ανθρώπους, όλους στη νήσο Εσπανιόλα στην Καραϊβική, έγινε κυκλώνας χθες Σάββατο κι αναμένεται να ενισχυθεί περαιτέρω καθώς κινείται προς την Τζαμάικα, σύμφωνα με νεότερη πρόβλεψη του αμερικανικού κέντρου κυκλώνων και τυφώνων (NHC).
«Η Μελίσα έγινε κυκλώνας» με ανέμους «μέγιστης ταχύτητας 120 χιλιομέτρων ανά ώρα», ανέφερε το NHC μέσω X.
Προειδοποίησε ότι το…



.jpg?t=2HHrKCwwTSsyGs95aSgewQ)














-og.jpg?t=_kse1U45KOAGRdQUxwi2Cw)
